Share on Google+Share on FacebookShare on LinkedInShare on TwitterShare on DiggShare on Stumble Upon
Custom Search
 
  

 
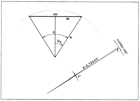
Degree of Curve (Chord Definition)

The chord definition (fig. 11-5) is used in railway practice and in some highway work. This definition states that the degree of curve is the central angle formed by two radii drawn from the center of the circle to the ends of a chord 100 feet (or 100 meters) long. If you take a flat curve, mark a 100-foot chord, and determine the central angle to be 030, then you have a 30-minute curve (chord definition).

From observation of figure 11-5, you can see the following trigonometric relationship:

Then, solving for R:

For a 10 curve (chord definition), D = 1; therefore R = 5,729.65 feet, or meters, depending upon the system of units you are using.

Figure 11-5.Degree of curve (chord definition).

Notice that in both the arc definition and the chord definition, the radius of curvature is inversely proportional to the degree of curvature. In other words, the larger the degree of curve, the shorter the radius; for example, using the arc definition, the radius of a 1 curve is 5,729.58 units, and the radius of a 5 curve is 1,145.92 units. Under the chord definition, the radius of a 1 curve is 5,729.65 units, and the radius of a 5 curve is 1,146.28 units.

CURVE FORMULAS

The relationship between the elements of a curve is expressed in a variety of formulas. The formulas for radius (R) and degree of curve (D), as they apply to both the arc and chord definitions, were given in the preceding discussion of the degree of curvature. Additional formulas you will use in the computations for a curve are discussed in the following sections.



Managed Security Service Provider
 


Privacy Statement - Copyright Information. - Contact Us

Integrated Publishing, Inc. - A (SDVOSB) Service Disabled Veteran Owned Small Business