Order this information in Print

Order this information on CD-ROM

Download in PDF Format

     

Click here to make tpub.com your Home Page

Page Title: Effective downwind fallout speed
Back | Up | Next

tpub.com Updates

Google


Web
www.tpub.com

Home

   
Information Categories
.... Administration
Advancement
Aerographer
Automotive
Aviation
Combat
Construction
Diving
Draftsman
Engineering
Electronics
Food and Cooking
Math
Medical
Music
Nuclear Fundamentals
Photography
Religion
USMC
   
Products
  Educational CD-ROM's
Printed Manuals
Downloadable Books
   

 

Back ] Home ] Up ] Next ]

Click here to Order your Radar Equipment Online

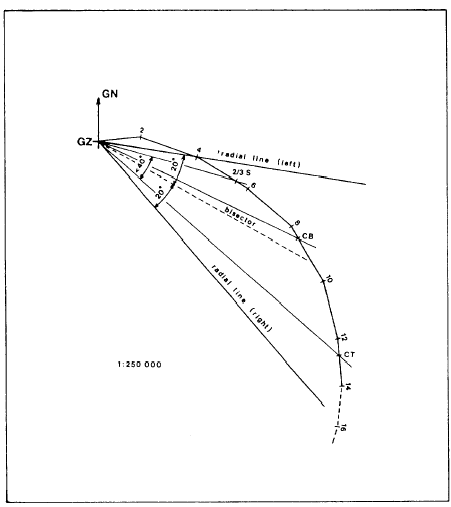
EFFECTIVE DOWNWIND FALLOUT SPEED. The effective downwind fallout (EDF) speed is determined using the following steps:

1. Measure the length of the radial line from GZ to the cloud-bottom (CB) point.

2. Convert the length into kilometers, using the map scale on which the wind vector plot is drawn.

3. Compute EDF speed by using the follow-ing formula:

Example: The distance between GZ and CB equals 26.0 centimeters. This distance equals 67 kilometers when using a map with a scale of 1:250,000 (1 kilometer = 4 millimeters). The time

Figure 6-9-6.-Wind vector plot with expanded radial lines.

of fall from the cloud base associated with a 50-kt explosion is 2,35 hours. Then,

The effective down wind direction and effective fallout speed are used to determine the zones of hazardous fallout.

Back ] Home ] Up ] Next ]

 

Privacy Statement - Press Release - Copyright Information. - Contact Us - Support Integrated Publishing

Integrated Publishing, Inc. - A (SDVOSB) Service Disabled Veteran Owned Small Business